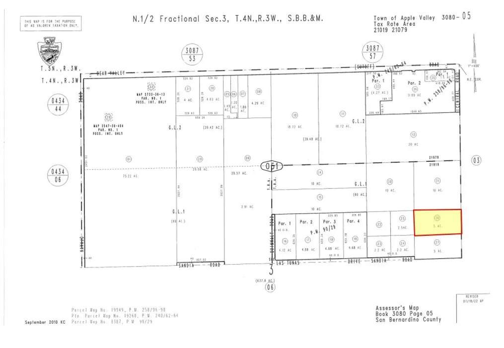
Description
5 acres of unimproved residential land for sale on Central Rd in Apple Valley; APN: 3080-051-26. Zoned Equestrian Residential (R-EQ) this site permits for the development of single-family homes with a density of 1 dwelling unit per 0.4-0.9 net acre. Water and power are available. Nearby amenities for future residents include Stater Bros Markets, Food 4 Less, AutoZone Auto Parts, Home & Garden Unlimited, Tractor Supply Co., Best Buy, Cinemark Movie Theater, Six Beans Coffee, Dutch Bros Coffee, and more. Apple Valley continues to grow with active industrial, residential, and commercial projects. Most notably the Brightline West Apple Valley Station, a project recently receiving a $3 billion federal-state partnership grant and the appointment of Siemens Mobility as the manufacture of the trains. Construction is expected to begin soon with the train in operation by late 2028. Buyer to verify all information contained herein. Agent and their representatives are not responsible for the accuracy of these claims.
-
0BEDS
-
5ACRES
-
0BATHS
-
01/2 BATHS
School Ratings & Info
Description
5 acres of unimproved residential land for sale on Central Rd in Apple Valley; APN: 3080-051-26. Zoned Equestrian Residential (R-EQ) this site permits for the development of single-family homes with a density of 1 dwelling unit per 0.4-0.9 net acre. Water and power are available. Nearby amenities for future residents include Stater Bros Markets, Food 4 Less, AutoZone Auto Parts, Home & Garden Unlimited, Tractor Supply Co., Best Buy, Cinemark Movie Theater, Six Beans Coffee, Dutch Bros Coffee, and more. Apple Valley continues to grow with active industrial, residential, and commercial projects. Most notably the Brightline West Apple Valley Station, a project recently receiving a $3 billion federal-state partnership grant and the appointment of Siemens Mobility as the manufacture of the trains. Construction is expected to begin soon with the train in operation by late 2028. Buyer to verify all information contained herein. Agent and their representatives are not responsible for the accuracy of these claims.
This information is deemed reliable but not guaranteed. You should rely on this information only to decide whether or not to further investigate a particular property. BEFORE MAKING ANY OTHER DECISION, YOU SHOULD PERSONALLY INVESTIGATE THE FACTS (e.g. square footage and lot size) with the assistance of an appropriate professional. You may use this information only to identify properties you may be interested in investigating further. All uses except for personal, non-commercial use in accordance with the foregoing purpose are prohibited. Redistribution or copying of this information, any photographs or video tours is strictly prohibited. This information is derived from the Internet Data Exchange (IDX) service provided by San Diego MLS. Displayed property listings may be held by a brokerage firm other than the broker and/or agent responsible for this display. The information and any photographs and video tours and the compilation from which they are derived is protected by copyright. Compilation © 2026 San Diego MLS, Inc. Licensed in the state of California.