Description
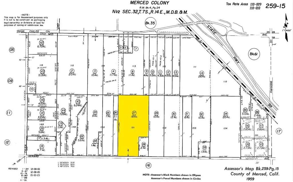
Here is an 18-acre walnut ranch with industrial development potential for sale! The chandler variety walnut orchard was planted in 2017 and the ranch is situated in southeast Merced. This parcel is close to city limits and Hwy 99/UC Merced Campus Expressway, an area anticipated for significant growth and development. The city sewer lines are accessible at Gerard Ave, with future City plans to extend additional utilities to Mission Ave to support new developments. The vicinity is experiencing robust expansion near Mission Ave and retail growth at the new Gateway Marketplace by Hwy 99. This land is zoned M-2 for heavy industrial/manufacturing uses and align with the City of Merced's General Plan for industrial development. The irrigation is currently via a double line drip irrigation system and the ranch is within the Merced Irrigation District for access to Class I district water. However, their current irrigation comes from a well situated across the road on the owner's separate ranch. The seller would be open to a well sharing agreement to continue existing irrigation. Make this ranch your homesite or plan for future development! The property is within the Merced Irrigation District-Urban Ground Water Sustainability Agency (MIUGSA). For more information on SGMA, go to www.sgma.water.ca.gov/portal/. The ownership is also open to selling all lots together.
-
0BEDS
-
17.99ACRES
-
0BATHS
-
01/2 BATHS
School Ratings & Info
Description
Here is an 18-acre walnut ranch with industrial development potential for sale! The chandler variety walnut orchard was planted in 2017 and the ranch is situated in southeast Merced. This parcel is close to city limits and Hwy 99/UC Merced Campus Expressway, an area anticipated for significant growth and development. The city sewer lines are accessible at Gerard Ave, with future City plans to extend additional utilities to Mission Ave to support new developments. The vicinity is experiencing robust expansion near Mission Ave and retail growth at the new Gateway Marketplace by Hwy 99. This land is zoned M-2 for heavy industrial/manufacturing uses and align with the City of Merced's General Plan for industrial development. The irrigation is currently via a double line drip irrigation system and the ranch is within the Merced Irrigation District for access to Class I district water. However, their current irrigation comes from a well situated across the road on the owner's separate ranch. The seller would be open to a well sharing agreement to continue existing irrigation. Make this ranch your homesite or plan for future development! The property is within the Merced Irrigation District-Urban Ground Water Sustainability Agency (MIUGSA). For more information on SGMA, go to www.sgma.water.ca.gov/portal/. The ownership is also open to selling all lots together.
This information is deemed reliable but not guaranteed. You should rely on this information only to decide whether or not to further investigate a particular property. BEFORE MAKING ANY OTHER DECISION, YOU SHOULD PERSONALLY INVESTIGATE THE FACTS (e.g. square footage and lot size) with the assistance of an appropriate professional. You may use this information only to identify properties you may be interested in investigating further. All uses except for personal, non-commercial use in accordance with the foregoing purpose are prohibited. Redistribution or copying of this information, any photographs or video tours is strictly prohibited. This information is derived from the Internet Data Exchange (IDX) service provided by San Diego MLS. Displayed property listings may be held by a brokerage firm other than the broker and/or agent responsible for this display. The information and any photographs and video tours and the compilation from which they are derived is protected by copyright. Compilation © 2025 San Diego MLS, Inc. Licensed in the state of California.